الجزيرة - سلطان المواش:
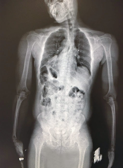
تمكّن جمرك مطار الأمير محمد بن عبدالعزيز بمنطقة المدينة المنورة من إحباط كمية من «الكوكائين» بلغت (936.9) جرام، عُثر عليها مُخبأة في أحشاء أحد الركاب القادمين إلى المملكة عبر المطار.
وأكد فيصل الدباغ مدير عام جمرك مطار الأمير محمد بن عبدالعزيز إنه عند إنهاء الإجراءات الجمركية لركاب إحدى الرحلات القادمة اشتبه المراقب الجمركي بأحد الركاب وعلى الفور تم التأكد من حالة الاشتباه وذلك بإحالة الراكب لجهاز فحص الأحشاء بالأشعة، وبالفعل عُثر بداخل أحشاء هذا الراكب على (83) كبسولة صغيرة الحجم تحتوي بداخلها على تلك الكمية من مادة «الكوكائين». وأضاف الدباغ أنه جرى بعد ذلك اتخاذ الإجراءات اللازمة حيال ذلك، مؤكداً في الوقت نفسه أن الجمارك السعودية تبذل أقصى جهودها في سبيل منع كل ما من شأنه الإضرار بالوطن والمواطن، ومبيناً أن الجمارك سعت من أجل ذلك إلى توفير كافة الإمكانات من الكوادر البشرية المؤهلة والتقنية الحديثة حيث ساهم ذلك في تحقيق الجمارك للعديد من النجاحات في مجال مكافحة التهريب بكافة أنواعه.