قال البروفيسور عبدالمنعم بن محمد الصديقي، استشاري جراحة عظام الأطفال وأمراض الجنف / مستشفى دله النخيل "عيادة العظام" إن خلع الورك الولادي من الأمراض الشائعة جداً في مجتمعنا والذي يصيب الأطفال الإناث أكثر من الذكور، وهو يعد من الأمراض الخفية حيث لا تظهر على المريض أي أعراض منذ ولادته ولا يمكن تمييز الطفل المصاب بالخلع إلا بعد بداية المشي حيث يظهر على مشيه مثل العرج. وطالب بالكشف عنه مبكراً منذ الولادة لاكتشافه وتشخيصه في سن مبكرة وتفادي تفاقم المرض مع تقدم الطفل في العمر.
وأضاف: "يكون العلاج في السن المبكرة دون الثلاثة أشهر بإرجاع الورك في العيادة دون الحاجة إلى التخدير ثم يوضع جهاز قماشي أو بلاستيكي للمحافظة على الورك في مكانه الصحيح حتى يتم الالتئام.
أما إذا كان الطفل أكبر من ذلك ودون السنة من العمر فإنه غالباً يحتاج إلى تخدير كامل وإرجاع الورك إلى مكانه الصحيح مع استخدام أشعة ملونة للورك ووضع جبس على الوركين للمحافظة على الورك في مكانه الصحيح حتى يتم الالتئام".
وأكد البروفيسور الصديقي حاجة المريض الذي يتجاوز سنة إلى عملية جراحية لتنظيف الألياف المتكونة داخل الورك وإرجاع الورك وإصلاح العظام ووضع جبس للمحافظة على الورك في مكانه الصحيح حتى يتم الالتئام.
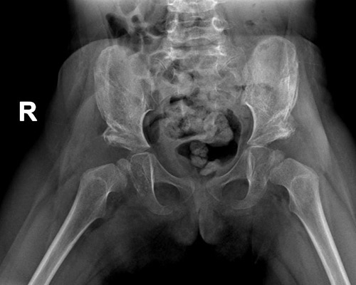
وقال: هناك عدة طرق لاكتشاف المرض وذلك من خلال الكشف السريري لدى الطبيب المختص في جراحه عظام الأطفال والتأكد بأخذ أشعة عادية للحوض تبين من خلالها درجة خلع الورك وما يحتاجه من علاج.
مضيفاً: "نتميز في مستشفى دلة ولله الحمد بعلاج الكثير من الحالات المصابة بخلع الورك الولادي على مختلف الأعمار وكذلك نتميز بإمكانية عمل العمليات الجراحية إذا لزمت للوركين في وقت واحد دون الحاجة لتعرض المريض للتخدير أكثر من مرة، ويعد هذا النوع من العمليات الدقيقة والميسرة إذا تمت بشكل صحيح على يد الطبيب المختص بجراحة عظام الأطفال".
واختتم حديثه بالتذكير بضرورة الكشف المبكر على الوركين وسلامتهما من الخلع الولادي منذ الولادة حتى يتم العلاج بأسهل وأسلم الطرق بإذن الله.
وللاستفسار الاتصال على الرقم الموحد 920012222.